Ida Hurricane Live
29 which is the 16th anniversary of Hurricane Katrinas devastation in the same part of the Gulf. Hurricane Ida charges inland with destructive winds and torrential rain.
According to poweroutageus 223680 customers are without power as a result of Hurricane.
:strip_exif(true):strip_icc(true):no_upscale(true):quality(65)/cloudfront-us-east-1.images.arcpublishing.com/gmg/6OPXEWYA5FGF5IEIHZXKCJY4OA.jpg)
Ida hurricane live
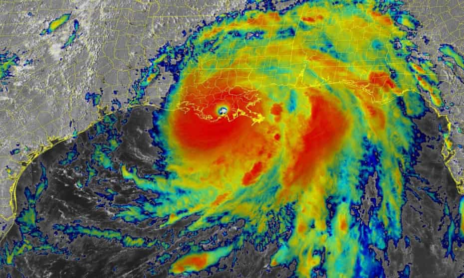
. Der Gouverneur von Louisiana John Bel Edwards bezeichnete die. Ida is forecast to make landfall as either a Category 3 or 4 storm on Sunday Aug. There are now more than 200000 customers without power in Louisiana as Hurricane Ida maneuvers inland. John Bel Edwards said in a Sunday afternoon news conference.Hurricane Ida made landfall on the southeast Louisiana coast Sunday as a dangerous Category 4 storm. Hurricane Ida makes landfall in Louisiana as a Category 4 storm US. Nation Sep 1 2021 1219 PM EDT. Keep an eye on the city of New Orleans - where people are facing what could be one of the strongest hurricanes to hit anywhere in Louisiana since at least t.
Hurricane Ida has strengthened with winds now at 145 mph. All of Louisiana National. Hurricane Ida Lis to you depending on conditions Gov. Ida predicted to strike Louisiana as extremely dangerous Category 4 hurricane late Sunday.
Airstrike takes out ISIS-K vehicle packed with explosives in Kabul Ed Asner TV legend who won 7 Emmys dies at 91. Im gesamten Stadtgebiet von New Orleans fällt der Strom aus. By Sunday morning Idas outer bands were bringing steady rain to. Hurrikan Ida sorgt im Süden der USA für Überflutungen und Zerstörung.
Wind gusts of 74 mph are being reported on the extreme southern edge of Louisiana. Hurrikan Ida hat im südlichen US-Bundesstaat Louisiana schwere Schäden verursacht und mindestens ein Menschenleben gefordert. Hurricane Ida is expected to make landfall Sunday threatening to bring dangerous wind storm surge and rain to the Gulf Coast exactly 16 years after the arrival of Hurricane. Katrina which killed more than 1800 people was graded category three when it.
WSFA - Watch livestreaming coverage of Hurricane Ida from Gray television stations in Louisiana Texas Mississippi and Alabama. This livestream is. Hier erfahren Sie alles zum Hurrikan Ida Der Live-Ticker von BILD. Hurricane Ida approaches on the 16th anniversary of Katrina New Orleans in Louisiana will bear the brunt of Hurricane Ida after already being ravaged by Hurricane Katrina which made landfall on 29 August 2005.
New Orleans Mayor LaToya Cantrell is expected to provide an update after Hurricane. New Orleans Mayor LaToya Cantrell discusses Hurricane Ida aftermath. 0340 Uhr Ida verliert über Louisiana nur langsam an Stärke. Hurricane Ida has strengthened with winds now at 145 mph.
August 29 2021 757 AM CBS NEWS Hurricane Ida rapidly grew in strength early Sunday becoming a dangerous Category 4 hurricane just. Ida is now 65 miles from the mouth of the Mississippi River and 80 miles south-southeast of Grand Isle. Wind gusts of 74 mph are being reported on the extreme southern edge of Louisiana.
Nation Sep 1 2021 1219 PM EDT. Hurricane Ida has strengthened with winds now at 145 mph.
Ida predicted to strike Louisiana as extremely dangerous Category 4 hurricane late Sunday.
/cloudfront-us-east-1.images.arcpublishing.com/gray/FKD53MOA3JFJBPCEFVHF3ODV7U.png)
Ida hurricane live
. Der Gouverneur von Louisiana John Bel Edwards bezeichnete die. Hurricane Ida made landfall on the southeast Louisiana coast Sunday as a dangerous Category 4 storm. WSFA - Watch livestreaming coverage of Hurricane Ida from Gray television stations in Louisiana Texas Mississippi and Alabama. Hurricane Ida makes landfall in Louisiana as a Category 4 storm US.Hurricane Ida is expected to make landfall Sunday threatening to bring dangerous wind storm surge and rain to the Gulf Coast exactly 16 years after the arrival of Hurricane. Hurricane Ida Lis to you depending on conditions Gov. Hier erfahren Sie alles zum Hurrikan Ida Der Live-Ticker von BILD. Katrina which killed more than 1800 people was graded category three when it.
This livestream is. Im gesamten Stadtgebiet von New Orleans fällt der Strom aus. 0340 Uhr Ida verliert über Louisiana nur langsam an Stärke. Keep an eye on the city of New Orleans - where people are facing what could be one of the strongest hurricanes to hit anywhere in Louisiana since at least t.
John Bel Edwards said in a Sunday afternoon news conference. Hurricane Ida approaches on the 16th anniversary of Katrina New Orleans in Louisiana will bear the brunt of Hurricane Ida after already being ravaged by Hurricane Katrina which made landfall on 29 August 2005. Airstrike takes out ISIS-K vehicle packed with explosives in Kabul Ed Asner TV legend who won 7 Emmys dies at 91. Ida is now 65 miles from the mouth of the Mississippi River and 80 miles south-southeast of Grand Isle.
Hurricane Ida has strengthened with winds now at 145 mph. New Orleans Mayor LaToya Cantrell discusses Hurricane Ida aftermath. Ida is forecast to make landfall as either a Category 3 or 4 storm on Sunday Aug. Wind gusts of 74 mph are being reported on the extreme southern edge of Louisiana.
Wind gusts of 74 mph are being reported on the extreme southern edge of Louisiana. By Sunday morning Idas outer bands were bringing steady rain to. Hurrikan Ida sorgt im Süden der USA für Überflutungen und Zerstörung. New Orleans Mayor LaToya Cantrell is expected to provide an update after Hurricane.
Hurrikan Ida hat im südlichen US-Bundesstaat Louisiana schwere Schäden verursacht und mindestens ein Menschenleben gefordert. August 29 2021 757 AM CBS NEWS Hurricane Ida rapidly grew in strength early Sunday becoming a dangerous Category 4 hurricane just. All of Louisiana National. There are now more than 200000 customers without power in Louisiana as Hurricane Ida maneuvers inland.
:strip_exif(true):strip_icc(true):no_upscale(true):quality(65)/cloudfront-us-east-1.images.arcpublishing.com/gmg/4F5YH7K3YNEMJEHWPYN5GAODYU.jpg)
:strip_exif(true):strip_icc(true):no_upscale(true):quality(65)/d1vhqlrjc8h82r.cloudfront.net/08-29-2021/t_4917a1d36c6b458ea8db162aa9bd3cdb_name_Ida_5_cropped.gif)

:strip_exif(true):strip_icc(true):no_upscale(true):quality(65)/cloudfront-us-east-1.images.arcpublishing.com/gmg/OFAD4AOPDJCOPAKAANYUZ3ODQE.png)



Posting Komentar untuk "Ida Hurricane Live"